REQUEST A TOUR If you would like to see this home without being there in person, select the "Virtual Tour" option and your agent will contact you to discuss available opportunities.
In-PersonVirtual Tour

$ 475,000
Est. payment | /mo
34.73 Acres Lot
$ 475,000
Est. payment | /mo
34.73 Acres Lot
Key Details
Property Type Vacant Land
Listing Status Active
Purchase Type For Sale
Subdivision Spring Meadows
MLS Listing ID 6247748
Annual Tax Amount $3,055
Tax Year 2025
Contingent None
Lot Size 34.730 Acres
Acres 34.73
Property Description
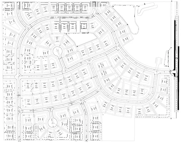
Great investment opportunity! This undeveloped land includes Sect-05 Twp-118 Range-026 SPRING MEADOWS
25.92 AC OUTLOT C AND 8.81 AC OUTLOT B, for a total of 34.73 ACRES. The two property IDs R116-037- 000030 and R116-037-000020 will be sold together. Spring Meadows preliminary plat was approved by the City of Waverly in 2005 and preliminary engineering
drawings are available. Photos of the original plat and current status of the plat are included in the listing.
25.92 AC OUTLOT C AND 8.81 AC OUTLOT B, for a total of 34.73 ACRES. The two property IDs R116-037- 000030 and R116-037-000020 will be sold together. Spring Meadows preliminary plat was approved by the City of Waverly in 2005 and preliminary engineering
drawings are available. Photos of the original plat and current status of the plat are included in the listing.
Location
State MN
County Wright
Zoning Residential-Single Family
Interior
Inclusions Abstract, Easements, Platted, Topographic Map
Fireplace No
Exterior
Fence None
Utilities Available None Connected, Electricity Available, Natural Gas Available, Sewer Available, Storm Sewer Available, Underground Utilities Available, Water Available
Waterfront Description Pond
Schools
School District Howard Lake-Waverly-Winsted
Others
Restrictions Easements,Minimum Lot Size,Other Covenants
Listed by Eric Skillestad • Keller Williams Preferred Rlty
GET MORE INFORMATION

The Moes Sell Homes
REALTOR®




